Cientistas alertam que furacões têm se intensificado mais rápido
Aquecimento dos oceanos foi apontado por especialistas como causa para piora dos fenômenos, que representam cada vez mais perigo

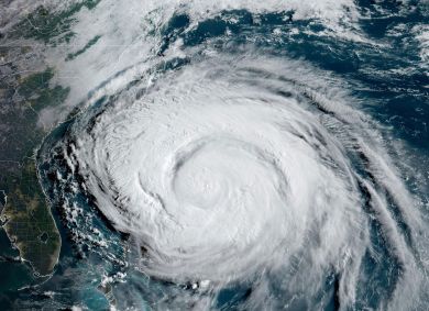
Quando o furacão Erin se intensificou explosivamente no Oceano Atlântico, na semana passada, trouxe alertas sobre sua rápida transformação. A tormenta se desenvolveu como um monstro de categoria 5 com essa taxa ultrarrápida de intensificação, com ventos acelerando a 137 km/h em 24 horas.
Estudos mostraram que os ciclones tropicais têm uma propensão maior a se intensificar rapidamente à medida que o planeta aquece, o que pode colocar em risco as pessoas que moram próximas à costa. Muitas vezes, esses moradores se preparam para uma tempestade tropical, mas de repente se deparam com um grande furacão ameaçador.
Esse é um verdadeiro pesadelo para qualquer gestor de emergências.
A intensificação rápida é definida como um aumento nos ventos máximos sustentados de uma tempestade em pelo menos 56 km/h em 24 horas, mas nos últimos anos, e certamente com o furacão Erin, as tempestades ultrapassaram muito esse limite.
O furacão Milton, por exemplo, teve uma taxa de intensificação de 145 km/h em 24 horas, enquanto atravessava as águas ultraquentes do Golfo no ano passado.
O furacão Erin também está no escalão superior das tempestades históricas da bacia do Atlântico.
Aumento na proporção de furacões
Um número alarmante de furacões no Atlântico se intensificou rapidamente nos últimos anos. Os furacões Milton, Ian, Helene e Ida surgiram nas últimas temporadas, ao mesmo tempo em que as altas temperaturas oceânicas batiam recordes.
Não é surpresa que os furacões estejam se intensificando mais rapidamente, disseram especialistas à CNN — mas não se deve esperar que todos os furacões atinjam a categoria 5.
“Houve um aumento notável na proporção de (furacões) que vêm passando por intensificação rápida e intensificação extremamente rápida” na bacia do Atlântico Norte e globalmente, disse Gabe Vecchi, pesquisador climático da Universidade de Princeton, em Nova Jersey.
“Erin foi extremo, mesmo em um mundo mais quente”, disse o especialista, mas as chances de sua taxa de intensificação extremamente rápida “foram aumentadas pelo aquecimento histórico dos trópicos”.
Daniel Gilford, climatologista do grupo sem fins lucrativos de pesquisa e comunicação Climate Central, afirmou que o principal elo entre o aumento da proporção de furacões de rápida intensificação e os últimos anos reside no aquecimento dos oceanos.
“Parece haver evidências consistentes sugerindo que eventos de rápida intensificação estão se tornando mais frequentes com as mudanças climáticas e que, à medida que continuamos a aquecer o planeta, as temperaturas da superfície do mar estão permitindo que a rápida intensificação ocorra com mais frequência”, disse Gilford.

Fatores que aumentam a intensidade dos furacões
O Climate Central publicou uma análise rápida observando essa conexão logo após o furacão Erin atingir a categoria 5.
Constatou-se que o aquecimento dos oceanos devido à poluição climática muito provavelmente fez a diferença para que a tempestade atingisse a intensidade da categoria 5, em vez de se tornar apenas uma tempestade de categoria 4, com menor potencial destrutivo, caso atingisse a terra firme.
Mas há razões para acreditar que furacões que se intensificam rapidamente não continuarão a piorar — ou mesmo se tornarão a norma. E o aquecimento global causado pelo homem pode não ser responsável por todas as tendências atuais.
Por exemplo, a intensidade potencial máxima de um furacão é governada não apenas pela temperatura dos oceanos, mas também por fatores atmosféricos, incluindo a diferença entre a temperatura da atmosfera inferior e superior, explicou Kim Wood, cientista atmosférica da Universidade do Arizona.
"Sempre gosto de incluir a ressalva de que o aquecimento das águas (aumento da temperatura da superfície do mar) não está diretamente correlacionado com maiores taxas de intensificação", disse Wood.
Como a atmosfera superior também vem aquecendo, isso aumentou a estabilidade atmosférica, o que equivale a frear, pelo menos ligeiramente, as taxas de intensificação e a intensidade máxima que uma tempestade pode atingir se as condições forem ideais.
A cientista Kim Wood realizou uma análise para determinar o quanto as taxas de intensificação rápida estão se tornando mais comuns e descobriu que intensificadores de ponta como Erin estão vendo alguns dos maiores saltos de frequência no Atlântico, em vez de tempestades que se fortalecem exatamente na definição de intensificação rápida (56km/h em 24 horas).
Além disso, nem todo o aquecimento do Oceano Atlântico Norte nas últimas décadas é diretamente atribuível ao aquecimento global.
No fim das contas, porém, quanto mais quente o mundo fica, maior a probabilidade de que ciclones tropicais incipientes aproveitem oceanos mais quentes e outros fatores para disparar em intensidade, disse o climatologista Daniel Gilford.
“Vivemos em um mundo onde haverá mais ciclones do tipo Erin no futuro, e esses tipos de eventos acontecerão com mais frequência”, acrescentou o climatologista.
